Sint-Job-in-'t-Goor | Bouwgrond | € 286.500

Prachtig gelegen bouwgrond voor vrijstaande woning, 1.035m².

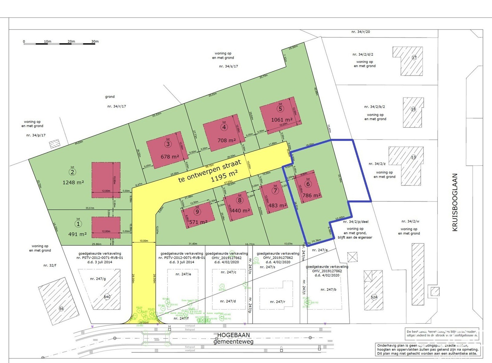
Prachtig gelegen bouwgrond van 1.034,7m² voor vrijstaande woning in de nieuwe verkaveling 'Kuilenheide'. De verkaveling bestaat uit een nieuwe doodlopende zijstraat van de Hogebaan, rechts van huisnummer 54C en omvat negen bouwrijpe kavels voor eengezinswoningen in open bebouwing. De verkaveling is rustig gelegen nabij het dorp van Sint-Job-in-'t-Goor met al haar voorzieningen en op wandelafstand van openbaar vervoer. Perfecte verbinding met de E19 autosnelweg.

Lot 6: het bouwrijpe perceel is gelegen op het einde van de doodlopende straat en heeft een oppervlakte van 1.034,7m² bestaande uit een bouwperceel van 787,33m² en een aanliggende repel tuingrond van 247,37m². Het perceel heeft een breedte variërende van ca. 31m tot 32m en is ca. 27m tot 40m diep. Door de ligging op het einde van de straat paalt het perceel er slechts 9,55m aan. De tuin is zuidoost gericht.

Belangrijkste bouwvoorschriften:

  • Bouwzone: maximaal 108m² (9m breed x 12m diep),
  • Maximum twee bouwlagen waarvan één onder schuin of plat dak,
  • Maximale nokhoogte 6m (vanaf vloerpas),
  • Maximale kroonlijsthoogte: 3,5m bij schuin dak en 6m bij plat dak,
  • Dakvorm vrij te kiezen binnen het minimale en maximale bouwvolume,
    Dakkapellen en dakvensters zijn toegelaten,
  • Eén ondergrondse bouwlaag toegelaten,
  • Maximaal 5% van het perceel mag verhard worden met uitzondering van
    verhardingen voor opritten en toegangen tot de woning en garage,
  • Bijgebouw van maximaal 40m² toegelaten in de achtertuinstrook;
    maximaal 3m hoog en plaatsing op minimum 1m van de perceelgrenzen,
Geen bouwverplichting, bouw wanneer het u uitkomt!

Mooie bouwgrond voor een vrijstaande eengezinswoning op rustige autoluwe locatie.
Ref. 7126316
1034.7 m²
oppervlakte
9.55 m
straatbreedte
32 m
straatbreedte

Algemeen

  • Grondoppervlakte 1034.7 m²
  • Perceelbreedte 9.55
  • Breedte bouwzone 32 m
  • Nutsvoorzieningen Water, elektriciteit, riolering
  • Categorie Bouwgrond
  • Ligging Rustig, Landelijk, Centraal
  • Beschikbaarheid Vanaf akte

Stedenbouwkundige informatie en informatieplicht

  • Stedenbouwkundige vergunning Geen vergunning uitgereikt
  • Dagvaarding en herstelvordering Geen rechterlijke herstelmaatregel of bestuurlijke maatregel opgelegd
  • Stedenbouwkundige bestemming Woongebied
  • Voorkooprecht Geen voorkooprecht ruimtelijke ordening aanwezig
  • Verkavelingsvergunning Verkavelingsvergunning
  • oLevelOverstromingsgevoelig gebied Mogelijk overstromingsgevoelig gebied
  • P-score B
  • Bestuursmaatregelen in het maatregelenregister Nee

Financiële informatie

  • Standaardtarief
  • Prijs € 286.500
  • Verkoopsrechten (STANDAARD TARIEF 12%)€ 34.380
  • Totaal (exclusief notariskosten)€ 320.880

Hoe kan ik u helpen?

Contacteer Koen Conings
Koen
Koen Conings
Bestuurder – Vastgoedmakelaar
Kantoor Zuid
Eikenlei 2
2960 Sint-Job-in-'t-Goor
BIV 500 559

Contacteer ons

Gelijkaardige panden

€ 275.000
bouwgrond
Sint-Job-in-'t-Goor
990 m²
oppervlakte
15 m
straatbreedte
15 m
straatbreedte
Prijs op aanvraag
bouwgrond
Sint-Job-in-'t-Goor
489 m²
oppervlakte
10 m
straatbreedte
10 m
straatbreedte
€ 219.000
bouwgrond
Sint-Job-in-'t-Goor
495 m²
oppervlakte
10 m
straatbreedte
9 m
straatbreedte
€ 230.000
bouwgrond
Brecht
1244 m²
oppervlakte
27 m
straatbreedte
€ 205.000
bouwgrond
Brecht
1040 m²
oppervlakte
19.5 m
straatbreedte
19.5 m
straatbreedte
€ 165.000
bouwgrond
Brecht
820 m²
oppervlakte
20 m
straatbreedte
20 m
straatbreedte